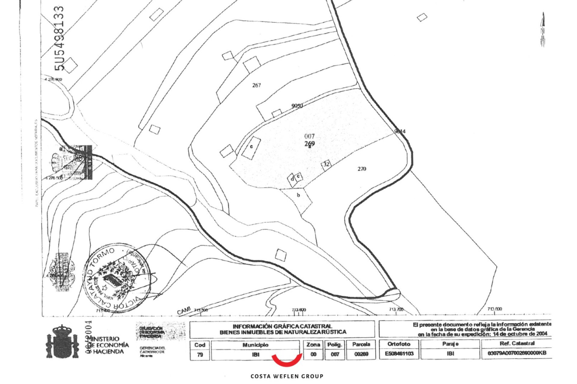
terreno para finca en ibi¡Descubre tu hogar en la montaña! Este terreno de ensueño en venta es el lienzo perfecto para construir la casa de tus sueños. Con un impresionante espacio de 10,035 metros cuadrados, esta joya es ideal para aquellos que buscan vivir en armonía con la naturaleza.
Lo extraordinario de este terreno es su topografía plana, creando un lienzo en blanco para diseñar una residencia espectacular. Imagina despertar cada mañana con vistas panorámicas a la ciudad de Ibi, donde la serenidad de la montaña se encuentra con la comodidad de la vida moderna.
Sumérgete en la belleza natural que te rodea: pinos majestuosos, olivos centenarios, perales frondosos, cerezos en flor y almendros que añaden un toque de magia a cada rincón. Este entorno te invita a disfrutar de la tranquilidad y la frescura de la montaña, creando un oasis privado lejos del bullicio cotidiano.
Además, la conveniencia está a solo 7 minutos en coche, gracias a su fácil acceso desde la salida de la autovía. ¿Te imaginas poder escapar a tu paraíso personal en cuestión de minutos?
Este es más que un terreno; es la promesa de un estilo de vida único. ¡Ven y descubre el potencial ilimitado de tu futura casa en la montaña!